Prodej stavebního pozemku – v obci Roštění u Holešova

Fotogalerie

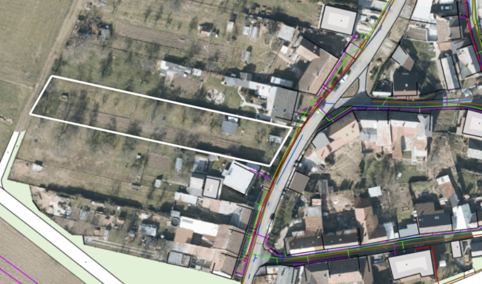
Popis nemovitosti

Nabízíme prostorný stavební pozemek o celkové ploše 1 825 m² v klidné a žádané obci Roštění. Pozemek je vhodný pro výstavbu rodinného domu (šířka pozemku 18m, délka 105m), inženýrské sítě (elektřina, voda, plyn) jsou vedeny přímo před pozemkem.

Základní informace:
- plocha: 1 825 m²
- šířka pozemku 18 m, délka 105 m
- sítě: vedeny před pozemkem

O obci:
Obec Roštění leží ve Zlínském kraji, v okrese Kroměříž, 7 km severozápadně od města Holešov a 14 km severovýchodně od Kroměříže.

Občanská vybavenost:
- mateřská škola, knihovna, sportovní areál a víceúčelové hřiště, bohatý společenský život
- 2 obchody a restaurace
- dopravní spojení zajišťují pravidelné autobusové linky do okolních měst
- další kompletní občanskou vybavenost najdete v nedalekém Holešově a Kroměříži

Neváhejte mě kontaktovat pro více informací nebo domluvení osobní prohlídky. Ráda vám pozemek osobně představím.
Těším se na vás, Alena Hlavinková.

Cena za nemovitosti

2 100 Kč/m2

Kontaktní formulář


tel.: +420 731 618 472 alena.hlavinkova@email.cz

731 618 472